昨天是中秋节
刷爆朋友圈的
莫过于又大又圆的中秋月
你们抬头赏月了吗~
网友@郭鑫言
网友@六五画
哼!
你们在赏圆圆的月
而小编我在赏圆圆的台!风!眼!
为啥中秋节还要心系台风呢?
因为....
“潭美”又变强了!
威力已经逼近“山竹”了!
增强速度太快了!
昨天
台风“潭美”的最大风力连升3级
从一个14级的强台风
升格为17级的超强台风!
要知道
“潭美”大前天才刚刚生成!
这飞一般的发展速度
吓得小编
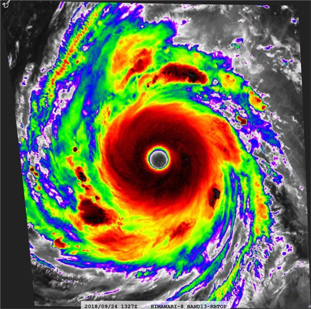
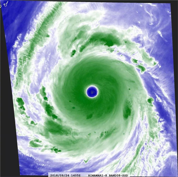
台风眼清晰可见!
昨天,台风“潭美”成功进行了眼壁置换。和前天相比,潭美的台风眼扩大了三倍以上,目前直径已达50公里以上。
置换成什么样了呢?
别眨眼,往下看
这台风眼巨大而清晰
像中秋夜的月亮一样圆
路径依然不确定!
别看“潭美”现在走得挺欢,今天它就要开始磨唧了。虽然从今天的预报图来看,台风已经很明确要转向日本了……
但是,“潭美”的路径
依然存在很大不确定性
一是副热带高压不稳定,二是有冷空气影响;这俩大魔王没决战到最后一刻你敢说谁能赢?
会造成什么影响?
对厦门来说,最明显的就是大风了!
今早出门是不是冷飕飕
今天上午,厦门继续发布
大风黄色警报
24日夜间至26日,东海大部海域、台湾海峡以及台湾以东洋面将有7~8级、阵风9~10级的东北风。
不过,潭美已经是一个实力极为强大的台风,如果登陆我国,后果将非常严重。根据最新的超级计算机模式,由于潭美的加强快于预期,它更有可能在副高重新加强前北上,登陆我国的可能性在减小,急转弯去日本的可能性增加。
因此,在十一长假前
潭美最大可能是外围影响我国
在台湾海峡、东海掀起狂风巨浪
在台湾北部和浙江东部下起骤雨
而潭美本尊很可能在十一前夕强势袭击日本
有成为今年日本最强台风的潜力
当然,现在潭美的不确定性仍然很大
登陆我国台湾的可能性还是不小
东南沿海的朋友还是没吃到定心丸
不过,不管“潭美”怎么走
国庆长假去我国台湾
或去华南、华东沿海一带
还有日本旅游的朋友
应谨慎选择行程
做好准备安排了!




























闽公网安备 35020302035470号
最新评论