有时候出门,第一反应不是去哪玩儿,而是首先考虑去的地方有没有停车场、方不方便停车。
“开车10分钟,停车半小时。”小九猜,在市区开车的你一定遇到过这样的场景。对漳州不少市民而言,停车,成了困扰市民出行的一个“老大难”问题。
为了解决这个难题,近年来,漳州对公共停车位的建设步伐逐步加快。
这不,龙海区人民政府昨日连发3条关于数字城市智慧停车工程的公示:
未来
将有701个停车位向你招手
01 龙海区人民路以西原肉制品厂地块将新增156个停车位
如图所示,龙海区数字城市智慧停车工程(二期)将在龙海区人民路以西原肉制品厂地块,规划新增156个智慧停车位。
156个车位中,将设置32个充电车位,其中含15个快充车位。
02 龙海区九龙新城以东、侨村路以西地块将新增296个停车位
如图所示,龙海区数字城市智慧停车工程(二期)将在龙海区九龙新城以东、侨村路以西地块,规划新增296个智慧停车位。
296个车位中,将设置60个充电车位,其中含27个快充车位。
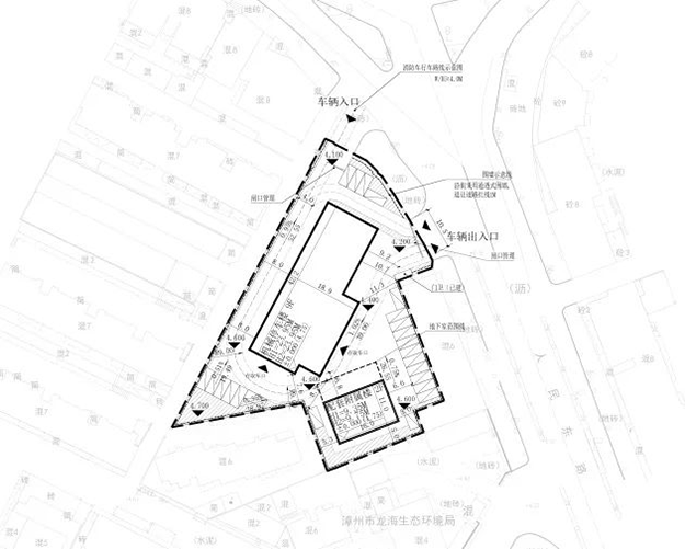
03 龙海区人民东路以西旧公交停车场地块,将新增249个停车位
如图所示,龙海区数字城市智慧停车工程(二期)将在龙海区人民东路以西旧公交停车场地块,规划新增249个智慧停车位。
249个车位中,将设置50个充电车位,其中含23个快充车位。
随着本市对公共停车位建设的不断推进,相信日后小伙伴们再也不用为找停车位而发愁啦~
同时,小九也呼吁大家
文明行车,文明停车!


















闽公网安备 35020302035470号
最新评论